NOT SOLD (BIDDING OVER), HIGH BID WAS
5,500.00USDby v*****s+ applicable fees & taxes.
This item WAS NOT SOLD. Auction date was 2007 Nov 17 @ 12:00UTC-05:00 : EST/CDT
All of the lots for this auction are located in Lehigh Acres, Lee County, Florida.
Zoning is RS-1 (Single Family Residential) on all lots.
The STRAP#(Section, Township, Range, Area, Parcel) identifies a particular lot on Lee County records, and is the same as a "Parcel ID" number.
The "Size" shown is the lot size in feet, the first number being the street frontage.
"Tax Assessed Value" is the value placed on each lot by the Lee County Property Appraiser's office from which annual
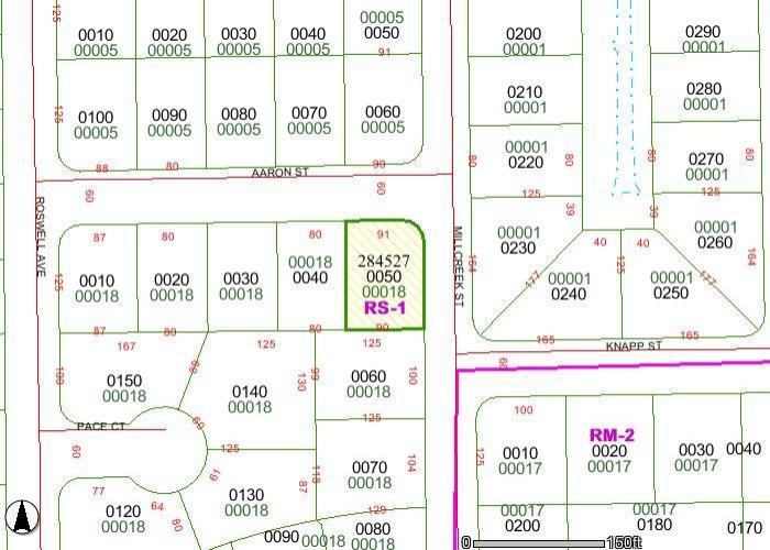
STRAP# 28-45-27-01-00018.0050, Size 91x125, Corner Millcreek St., Tax Assessed Value $23,000
Auction Location:
Lehigh Acres, Florida, United States
Previewing Details:
Stop the slide show and click on the plat image to pull up a larger view of the plat for each lot showing the nearest street intersection. With the plat, and a map of Lehigh Acres, any lot may easily be located.
John Bickel & Associates strongly suggests that you visit and inspect the properties offered before bidding. The plats furnished show the nearest street intersections to help you locate particular lots.
Buyer's Premiums:
| From (Incl.) | To (Excl.) | Premium |
| 0.00 |
Infinite |
0% |
Additional Fees:
Shipping Details:
No Info Available
Payment Details:
No Info Available
Bids for our Online Auctions may only be placed online over the Internet. No phone bids will be accepted, nor will there be a live auction for these properties.
Buyers must be registered to bid. Registration is free.
Bids will display on the auction page immediately. If you have placed a bid, and are "out-bid" by another bidder, you will receive an Email notification from us that you have been out-bid, the amount of the new bid, as well as the minimum amount you would need to raise the current bid.
A bid by any person shall be conclusive proof that the bidder understands and accepts these terms of sale and agrees to be bound by them. Auctioneer reserves the right to reject any bid he deems unresponsive. Properties are offered under “Exclusive Right of Sale” by John Bickel & Associates. These are "Auctions with Reserve," and the "Reserve Price" is unannounced in advance. However, the "High Bid" is "Subject to Confirmation" by the Seller, and may be accepted even if the "Reserve Price" is not met. Please do not hesitate to bid! We coordinate with Sellers to establish what we believe to be a reasonable "Reserve Price" under the present market conditions. The "Reserve Price" is set solely to protect the Seller from ridiculously low bids.
Each auction has a "Starting Time" and an "Ending Time." Auctions start as soon as the property appears on our website. You may bid on any property up till the posted "Ending Time."
The High Bidder will show on each lot immediately following the close of the auction, along with the final "High Bid."
If you are the "High Bidder," you will be notified by Email of your bid acceptance, and we will contact the Seller for acceptance of your bid. Bidders acknowledge that Seller acceptance (confirmation) constitutes a non-cancelable contract of sale. Bids may not be withdrawn or modified.
All property is sold “AS-IS, WHERE-IS” and sale is final upon confirmation of the "High Bid" by the Seller. Full cash payment is due wi